POREČ: nastavljaju se radovi na pješačko-biciklističkoj komunikaciji kod Picala, dijelu trase Parenzane
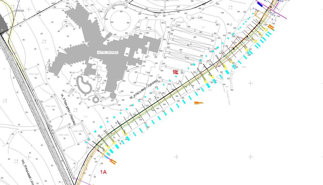
Upravni odjel za komunalni sustav Grada Poreča-Parenzo nastavlja s radovima na izgradnji pješačko-biciklističke stazi kod bivšeg hotela Zagreb. Nova prometna komunikacija sastojat će se od pješačke staze širine 1,50 metara i biciklističke staze širine 2 metra, a ukupna duzina staze iznosit će 526 metara. Na taj će se način građanima i rekreativcima omogućiti sigurnije mjesto za kretanje. Završetak radova planiran je do uskrsnih blagdana.
Ova će prometna komunikacija spajati pješačku i biciklističku stazu iz uvale Peškera sa onom koja je napravljena u sklopu lani izgrađenog kružnog raskrižja između naselja Finida i Creske ulice. Tada je izgrađena prva faza biciklističke staze i nogostupa (djelomično deniveliranih) uz izgradnju potpornih zidova na mjestima veće visinske razlike. Nakon rješavanja imovinsko-pravnih poslova pristupilo se nastavku gradnje.
Naime, ideja je da potpuno dovršena staza postane dijelom trase Parenzane, koja spaja bivšu kolodvorsku zgradu s naseljem Finida gdje nekadašnja pruga prolazi kroz šumu prema St. Vergotini i dalje. Izgradnjom pješačko-biciklističke staze na tom potezu zaokružit će se ranije realiziran projekt Parenzana magic, u sklopu kojeg je Grad Poreč, zahvaljujući bespovratnim sredstvima EU uredio nekadašnju trasu Parenzane na svom području. Tada je Poreč dobio i odmorište za bicikliste postavljeno na početku šumice na Picalu, nedaleko od bivše kolodvorske zgrade povijesne Parenzane.


